Lamminrahkan pientalotontit
Lamminrahkan uuden kaupunginosan ensimmäiset asukkaat muuttivat alueelle kesällä 2023 valmiin katuverkoston sekä modernin liikuntapuiston ja upean koulukeskuksen äärelle. Asukasmäärän noustua parissa vuodessa jo yli 700:n, on alueen bussiliikenteeseen panostettu entisestään ja kaupallisia palveluja on löytänyt alueelle. Aivan Tampereen rajan kupeessa sijaitseva alue tarjoaa monipuolisia ulkoilumahdollisuuksia, mahtavia luontoelämyksiä sekä sopivasti omaa rauhaa. Kaikki keskeiset lähipalvelut ovat 5 minuutin ajomatkan päässä ja pendelöinti esimerkiksi Tampereen ja kaupungin keskustan suuntaan on sujuvaa.
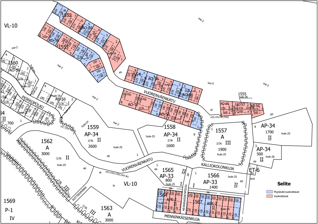
Lamminrahkan pohjoisosassa käynnistyy keväällä 2026 ensimmäinen pientalotonttien luovutusvaihe. Haettavaksi tulee yhteensä 48 pientalotonttia Vuorenväenkadun, Kallionkolonkujan sekä Menninkäisenkujan varrelta. Kompaktit tontit soveltuvat omakotitalojen, paritalojen sekä kaupunkipientalojen rakentamiseen tarjoten mahdollisuuksia erilaisiin asumisen ratkaisuihin.
Tonttien pinta-alat vaihtelevat noin 248–540 neliömetrin välillä. Rakennusoikeus on tontista riippuen 100 + 30 t – 200 + 30 t + 30 t k-m². Alueen asemakaava tukee Lamminrahkalle ominaista kaupunkimaista ilmettä.
Alueen kadut ja kunnallistekniikka ovat parhaillaan rakenteilla. Tonttien luovutus ja rakentamislupahakemuksen jättäminen mahdollista infran valmistuttua, arviolta syksyllä 2026. Rakentuva ympäristö muodostaa osan Lamminrahkan yhtenäistä ja suunniteltua kokonaisuutta, jossa asuminen, liikkuminen ja luonto kohtaavat.
Lamminrahkan pientalotontit tarjoavat mahdollisuuden rakentaa oma koti kasvavaan ja kehittyvään kaupunginosaan, luonnon ja rauhallisten ulkoilualueiden läheisyyteen.
Tonttiesittelyt
Tontti-info järjestetään Kangasalan Prisman kaupunki‑infossa (Mäkirinteentie 10) 28.4.2026 klo 16–18.
Lisäksi alueella järjestetään kaksi tonttiesittelyä 5.5. ja 12.5.2026 klo 17–19. Alue-esittelyihin vaaditaan ennakkoilmoittautuminen, ja osallistujamäärä on rajattu 50 henkilöön esittelyä kohden, sillä alue on vielä työmaa‑aluetta.
Ennakkoilmoittautuminen Lamminrahkan tonttiesittelyyn, Tiistai 5.5.2026: https://link.webropolsurveys.com/EP/D120EB17A7957D8A
Ennakkoilmoittautuminen Lamminrahkan tonttiesittelyyn, Tiistai 12.5.2026: https://link.webropolsurveys.com/EP/D715FB7C7A1DF464
Näin haet tonttia
Kevään tonttihaku on käynnissä 1.5.-20.5.2026 klo 15.00 saakka.
Tontteja haetaan kaupungin karttapalvelussa sähköisellä hakulomakkeella, joka edellyttää vahvaa tunnistautumista.
Jos haet useampaa tonttia, aseta tontit ensisijaisuusjärjestykseen.
Hakijaa kohden hyväksytään vain yksi hakemus.
Omakoti‑ ja kaupunkipientalotontit on suunnattu yksityishenkilöille, jotka eivät ole saaneet Kangasalan kaupungilta tonttia määräaikahaun arvonnassa viimeisten kymmenen vuoden aikana. Paritalotontteja voivat hakea myös yritykset.
Tontit arvotaan hakijoiden kesken kesäkuussa.
Vuorenväenkatu ja Kallionkolonkuja AO-56 ja AO-57- tontit
| Kortteli: | Tontti: | Pinta-ala (m2): | Rakennusoikeus k-m2: | Perusvuokra (5%): | Myyntihinta €: |
| 1552 | 1 | 498 | 125+30 | 2480 | |
| 1552 | 2 | 409 | 125+30 | 2480 | |
| 1552 | 3 | 309 | 125+30 | 2480 | 49600* |
| 1552 | 4 | 264 | 125+30 | 2480 | |
| 1552 | 5 | 286 | 125+30 | 2480 | 49600* |
| 1552 | 6 | 297 | 125+30 | 2480 | |
| 1552 | 7 | 341 | 125+30 | 2480 | |
| 1552 | 8 | 287 | 100+30 | 2080 | 41600* |
| 1553 | 1 | 277 | 160+30 | 3040 | 60800* |
| 1553 | 2 | 296 | 160+30 | 3040 | |
| 1553 | 3 | 357 | 160+30 | 3040 | 60800* |
| 1553 | 4 | 294 | 160+30 | 3040 | 60800* |
| 1553 | 5 | 294 | 160+30 | 3040 | |
| 1553 | 6 | 294 | 160+30 | 3040 | |
| 1553 | 7 | 294 | 160+30 | 3040 | 60800* |
| 1553 | 8 | 316 | 160+30 | 3040 | |
| 1554 | 1 | 308 | 125+30 | 2480 | |
| 1554 | 2 | 308 | 125+30 | 2480 | 49600* |
| 1554 | 3 | 308 | 125+30 | 2480 | 49600* |
| 1554 | 4 | 264 | 125+30 | 2480 | |
| 1554 | 5 | 264 | 125+30 | 2480 | |
| 1554 | 6 | 308 | 125+30 | 2480 | 49600* |
| 1554 | 7 | 308 | 125+30 | 2480 | 49600* |
| 1554 | 8 | 286 | 125+30 | 2480 | |
| 1555 | 1 | 346 | 160+30 | 3040 | |
| 1555 | 2 | 436 | 200+30+30 | 4160 | |
| 1555 | 3 | 304 | 160+30 | 3040 | |
| 1558 | 1 | 281 | 160 | 2560 | 51200* |
| 1558 | 2 | 264 | 160+30 | 3040 | |
| 1558 | 3 | 265 | 160+30 | 3040 | |
| 1558 | 4 | 265 | 160+30 | 3040 | |
| 1558 | 5 | 264 | 160+30 | 3040 | |
| 1558 | 6 | 265 | 160+30 | 3040 | 60800* |
| 1558 | 7 | 518 | 200+30+30 | 4160 | |
| 1558 | 8 | 540 | 200+30+30 | 4160 |
Menninkäisenkuja APK-2-tontit
| Kortteli: | Tontti: | Pinta-ala (m2): | Rakennusoikeus k-m2: | Vuokrahinta (5%): | Myyntihinta €: |
| 1564 | 1 | 285 | 170+30 | 3600 | 72000* |
| 1564 | 2 | 248 | 170+30 | 3600 | |
| 1564 | 3 | 248 | 170+30 | 3600 | |
| 1564 | 4 | 274 | 170+30 | 3600 | |
| 1567 | 1 | 284 | 170+30 | 3600 | |
| 1567 | 2 | 248 | 170+30 | 3600 | |
| 1567 | 3 | 248 | 170+30 | 3600 | 72000* |
| 1567 | 4 | 248 | 170+30 | 3600 | 72000* |
| 1567 | 5 | 248 | 170+30 | 3600 | |
| 1567 | 6 | 248 | 170+30 | 3600 | |
| 1567 | 7 | 248 | 170+30 | 3600 | |
| 1567 | 8 | 248 | 170+30 | 3600 | |
| 1567 | 9 | 279 | 170+30 | 3600 | 72000* |
*Tontteja luovutettaessa tonteille jätetään oikeus tontin ostamiseen heti tai kolmen (3) vuoden kuluessa maanvuokrasopimuksen alkamisajankohdasta laskettuna,
tämän jälkeen osto-oikeus raukeaa.

Lisätietoja tontinhakijalle ja vuokralaiselle
Tontin hakeminen ja varaaminen
Tutustuthan tarkoin tontin ominaisuuksiin ennen kuin täytät tonttihakemuksen. Perehdy erityisen huolellisesti kaavamääräyksiin, rakennustapaohjeisiin ja tontin tietoihin. Hae vain tonttia, johon olet valmis rakentamaan kaavoitusta ja ohjeistusta noudattaman talon rakentamisvelvoitteen ja tontin luovutusehtojen määrittämässä aikataulussa.
Määräaikaisessa haussa olevia tontteja ei varata tai luovuteta Kangasalan kaupungilta/kunnalta kymmenen viime vuoden kuluessa asemakaavatontin saaneille. Ehto ei koske jatkuvasta hausta saatuja tontteja.
Tontteja haetaan ensisijaisesti sähköisellä hakulomakkeella, joka vaatii vahvan tunnistautumisen. Jos hakija hakee useampaa tonttia samassa haussa, tulee tontit asettaa ensisijaisuusjärjestykseen. Kaupunki voi hylätä hakemuksen, joka sisältää virheellisiä tietoja.
Tontin hakijoiksi hakemukseen merkitään kaikki ne henkilöt, jotka tulevat olemaan vuokralaisina tontilla. Tontti varataan / vuokrataan vain sitä hakeneille: tontin vuokraaja/ostaja ei voi vaihtua eikä uutta vuokraajaa/ostajaa voi tulla hakeneiden lisäksi. Tämä kannattaa huomioida esimerkiksi, kun hankkeelle hakee rahoitusta.
Tontit jaetaan arpomalla. Arvonta suoritetaan kaikkien hakijoiden kesken. Tonteille voidaan arpoa myös varasijan saaja siltä varalta, että tontin saanut ei ota tonttia vastaan.
Tonttiarvonnan jälkeen tontti-insinööri tekee tontin varauksesta, vuokrauksesta/myynnistä päätöksen. Tontin varaamisesta peritään 750 euron varausmaksu, jota ei hyvitetä tontin hinnasta tai palauteta varauksen peruuntuessa. Varausmaksu tulee maksaa yhden (1) kuukauden sisään tontti-insinöörin päätöksestä. Varausmaksu tulee maksaa eräpäivään mennessä, muutoin varaus raukeaa. Varausaika varausmaksunsa maksaneille on 9 kuukautta tontti-insinöörin päätöksestä, johon mennessä tontista tulee allekirjoittaa vuokrasopimus/kauppakirja.
Varausmaksun eräpäivään ei ole mahdollista saada lisää maksuaikaa eikä varausaikaan jatkoa.
Varaus oikeuttaa suunnittelemaan rakennukset tontille ja hakemaan rakennusluvan. Varausaikana tontilla teetetään varaajan toimesta maaperätutkimus. Tontilla ei saa varausaikana tehdä maaperätutkimusta lukuun ottamatta muita toimenpiteitä (esim. maansiirtotyöt, varastointi).
Maanvuokrasopimus
Tontin maanvuokrasopimus on allekirjoitettava varausajan päättymiseen mennessä. Maanvuokrasopimuksen allekirjoittamiseksi otetaan yhteyttä puhelimitse tai kiinteistojen.seuranta@kangasala.fi
Huomioittehan varata aikaa maanvuokrasopimuksen valmisteluun noin kaksi viikkoa. Maanvuokrasopimus tehdään pääsääntöisesti sähköisesti ja vuokra-aika on 50 vuotta. Tonttien vuokrat on sidottu elinkustannusindeksiin. Vuosivuokraa tarkistetaan virallisen elinkustannusindeksin muutosta vastaavaksi. Vuokralainen maksaa vuokraoikeuden kirjaamisesta aiheutuvat maksut voimassa olevien hintojen mukaisesti. Ajantasaiset hintatiedot löytyvät Maanmittauslaitoksen sivuilta.
Rakennuslupa voidaan myöntää, kun tontin maanvuokrasopimus on allekirjoitettu. Kaupunki voi purkaa maanvuokrasopimuksen, jos vuokralainen ei täytä velvoitteitaan tai mikäli rakentamattoman tontin maanvuokralaskut ovat maksamatta.
Rakentamisen suunnittelu
Rakentamisluvan valmistelu Lupapisteessä on mahdollista jo varausaikana, mutta lupahakemuksen voi jättää vasta alueen infran valmistuttua. Rakentamislupa voidaan myöntää vuokrasopimuksen allekirjoittamisen jälkeen. Lisätietoja lupamenettelystä ja tarvittavista asiakirjoista saa rakennusvalvonnasta.
Maaperätutkimukset
Tontin rakentaja vastaa kustannuksellaan rakennushankkeen toteuttamiseen liittyvistä maaperätutkimuksista sekä rakennusten perustamistavasta.
Tontilla suoritettavat maansiirtotyöt kuuluvat tontin vuokralaiselle.
Kunnallistekniikka
Tontin ostaja/vuokraaja maksaa Kangasalan Vesi Oy:n taksojen mukaiset liittymis- ja palvelumaksut vesihuoltoon liittyessään.
Tontin ostaminen ja lunastaminen
Tontin ostaminen ja lunastaminen on määritelty kunkin alueen tonttien luovutusehdoissa. Kaikissa tonteissa ei ole osto- tai lunastusmahdollisuutta.
Vuokraoikeuden siirto
Tontin vuokraoikeuden voi vapaasti siirtää (esim. myydä) kolmannelle osapuolelle, kun tontin rakentamisvelvollisuus on täytetty maanvuokrasopimuksen ehtojen edellyttämällä tavalla. Jos tontin vuokraoikeus siirretään kolmannelle ennen ehtojen täyttämistä, suorittaa vuokraoikeuden siirtänyt vuokralainen kaupungille maanvuokrasopimuksen mukaisen sopimussakon.
Vuokraoikeuden siirronsaajan tulee kolmen (3) kuukauden kuluessa vuokraoikeuden siirtoasiakirjan (esim. vuokraoikeuden kauppakirja, lahjakirja) allekirjoittamispäivämäärästä lukien ilmoittaa siirrosta kaupungille sähköpostisoitteeseen kiinteistojen.seuranta@kangasala.fi Ilmoitukseen tulee liittää jäljennös siirtoasiakirjasta.
Lisäksi Maanmittauslaitokselta tulee hakea virallinen vuokraoikeuden siirron kirjaaminen 6 kuukauden kuluessa siirtoasiakirjan allekirjoittamisesta.
Siirrosta ilmoittaminen on tärkeää, jotta vuokran laskutustiedot pysyvät ajan tasalla ja vuokraoikeuden haltija on tavoitettavissa. Vuokraoikeuden siirtoasiakirjaan pitää selvästi merkitä päivämäärä, mistä lähtien siirronsaaja vastaa tontin vuokrasta.
Maanvuokrien laskutus
Vuokra-aika on 50 vuotta.
Tontin vuokran maksu alkaa vuokrasopimukseen merkitystä vuokra-ajan alkamispäivästä, eli viimeistään varausajan viimeisenä päivänä. Vuokrasopimuksen allekirjoituksen yhteydessä vuokralaiselle toimitetaan lasku loppuvuoden vuokrasta, joka kattaa vuokran vuokra-ajan alkamisesta kuluvan vuoden loppuun. Seuraavat vuokrat erääntyvät maanvuokrasopimuksen mukaisesti, ja kaupunki laskuttaa vuokraa kalenterivuosittain.
Maanvuokrat laskutetaan pääsääntöisesti kerran vuodessa. Osassa sopimuksista vuosivuokra laskutetaan kahdessa erässä. Oman laskutusaikataulusi voit tarkistaa maanvuokrasopimukseltasi.
Tonttien vuokrat on sidottu elinkustannusindeksiin. Vuosivuokraa tarkistetaan virallisen elinkustannusindeksin muutosta vastaavaksi. Vuokra tarkistetaan vuosittain tammikuussa.
Kyselyt sopimuksista, osoitteen muutosasiat ja maksamiseen liittyvät asiat:
kiinteistojen.seuranta@kangasala.fi
Rakentamisvelvoite
Tonttien rakentamisvelvoite: Vuokralainen sitoutuu rakentamaan asemakaavan, rakennusjärjestyksen, rakentamistapaohjeiden ja hyväksyttyjen piirustusten mukaisen uudisrakennuksen, joka on vähintään 50 % kaavanmukaisesta rakennusoikeudesta. Rakennus tulee olla kolmen vuoden kuluessa vuokra-ajan alkamisesta siinä valmiusasteessa, että rakennusvalvontaviranomainen voi suorittaa hyväksyttävän käyttöönottokatselmuksen.
Tontin ostaja/vuokraaja maksaa Kangasalan Vesi Oy:n taksojen mukaiset liittymis- ja palvelumaksut vesihuoltoon liittyessään.
Lamminrahkan alueelta mahdollisesti myöhemmin vapautuvat tontit tulevat jatkuvaan hakuun varasijoille tarjoamisen jälkeen, ja tällöin niitä voivat hakea myös rakennusliikkeet.
Yhteydenotto
Johanna Matikainen
Maankäyttövalmistelija
Puhelin
+358 40 1336 516Sähköposti
johanna.matikainen1@kangasala.fiSami Ylihärsilä
Tontti-insinööri
Puhelin
+358 40 1336 371Sähköposti
sami.yliharsila@kangasala.fiRakentamiseen liittyvät kysymykset
ensisijaisesti www.lupapiste.fi tai rakennusvalvonnan soittoaikoina.
Lupavalmistelijat ja lupainsinöörit keskiviikkoisin kello 9-11 ja perjantaisin kello 12-14.
Johtava rakennustarkastaja keskiviikkoisin kello 12-13 ja perjantaisin kello 12-13.
Tutustu myös näihin
-
Lue lisääKeskustan Pikkuharjun kaupunkipientalotontit
Haaveiletko modernista kaupunkiasumisesta erinomaisella sijainnilla?… -
Lue lisääKuhmalahden ja Sahalahden omakotitontit
Kuhmalahti ja Sahalahti tarjoavat luonnonläheistä ja rauhallista asumi… -
Lue lisääRakennusvalvonta
Kangasalan kaupungin rakennusvalvonta ohjaa ja antaa neuvoja rakentami… -
Lue lisääOmakoti- ja pientalotontit
Tutustu monipuoliseen tonttitarjontaamme ja rakenna unelmiesi koti Kan… -
Lue lisääRakennusvalvonta, tontit ja asuntoasiat
Kangasala tarjoaa monipuolisia mahdollisuuksia asumiseen ja rakentamis… -
Lue lisääJatkuvan haun tontit
Jatkuvan haun tonttisivulla ilmoitetaan ajankohtaiset tiedot vapaana o…
Kuka olet?
Kerro millaista ja kenelle suunnattua tietoa etsit, niin autamme sinua löytämään juuri sinua parhaiten palvelevat sisällöt.
-
Asukas
Hienoa! Valitse sopiva seuraavista vaihtoehdoista niin autamme sinut oikean sisällön pariin.-
Nykyinen asukas
Eikös Kangasalla olekin ihanaa? Valitse vielä kerran sopiva, niin löydät sinulle sopivat sisällöt.-
Lapsiperhe
Siirry lukemaan tämän kohderyhmän suosimia sisältöjä tai kaikki perheille ja lapsiperheille soveltuvat sisällöt.-
Varhaiskasvatus ja esiopetus
-
Perusopetus
-
Ateria- ja siivouspalvelut
-
Harrastaminen ja vapaa-aika
-
Liikuntapalvelut
-
Taiteen perusopetus
-
Kirjastopalvelut
-
Osallistu ja vaikuta
-
Lapsiystävällinen kunta
-
Rakennusvalvonta, tontit ja asuntoasiat
-
-
Nuori
Siirry lukemaan tämän kohderyhmän suosimia sisältöjä tai kaikki nuorille ja opiskelijoille soveltuvat sisällöt.-
Nuorisopalvelut
-
Nuorisovaltuusto
-
Kasva ja opi
-
Harrastaminen ja vapaa-aika
-
Kirjastopalvelut
-
Sisäliikuntapaikat
-
Taiteen perusopetus
-
Ateria- ja siivouspalvelut
-
Työelämäpalvelut nuorille
-
Asuntoasiat
-
-
Työikäinen aikuinen
Siirry lukemaan tämän kohderyhmän suosimia sisältöjä tai kaikki nuorille ja opiskelijoille soveltuvat sisällöt.-
Harrastaminen ja vapaa-aika
-
Hyvinvoinnin ja terveyden edistäminen
-
Rakennusvalvonta, tontit ja asuntoasiat
-
Liikenne, kadut ja viheralueet
-
Osallistu ja vaikuta
-
Päätöksenteko
-
Kaupunki työnantajana
-
-
Ikääntynyt
Siirry lukemaan tämän kohderyhmän suosimia sisältöjä tai kaikki ikääntyneille soveltuvat sisällöt.-
Harrastaminen ja vapaa-aika
-
Kulttuuripalvelut
-
Pääkirjasto
-
Kangasala-talo
-
Liikuntapalvelut
-
Sisäliikuntapaikat
-
Hyvinvoinnin ja terveyden edistäminen
-
Päätöksenteko
-
Palvelu- ja joukkoliikenne
-
Liikenne, kadut ja viheralueet
-
Asuntoasiat
-
-
Vapaa-ajan asukas
Siirry lukemaan tämän kohderyhmän suosimia sisältöjä tai kaikki vapaa-ajan asukkaille soveltuvat sisällöt.-
Rakennusvalvonta, tontit ja asuntoasiat
-
Luonto ja ympäristö
-
Tutustu kaupunkiin
-
Harrastaminen ja vapaa-aika
-
Kirjastopalvelut
-
Osallistu ja vaikuta
-
-
Tapahtumakävijä
Siirry tutustumaan sinulle soveltuviin sisältöihin.
-
-
Uusi asukas
Eikös Kangasalla voisikin olla ihanaa? Valitse vielä kerran sopiva, niin löydät sinulle sopivat sisällöt.-
Muuttaja
Siirry lukemaan sinua kiinnostavaa sisältöä.-
Tutustu kaupunkiin
-
Rakennusvalvonta, tontit ja asuntoasiat
-
Luonto ja ympäristö
-
Kasva ja opi
-
Harrastaminen ja vapaa-aika
-
Palvelu- ja joukkoliikenne
-
-
Kansainvälinen asukas
Siirry lukemaan sinua kiinnostavaa sisältöä.-
Kotoutumisen tuen palvelut
-
Tutustu kaupunkiin
-
Rakennusvalvonta, tontit ja asuntoasiat
-
Harrastaminen ja vapaa-aika
-
Palvelu- ja joukkoliikenne
-
-
-
Rakentaja
Eikös Kangasalla voisikin olla ihanaa? Valitse sopiva, niin autamme sinut eteenpäin.-
Katso kaikki
Tontin ostaja
Valitse vielä kerran sopiva, niin löydät sinulle sopivat sisällöt. -
Rakentaja tai rakennuttaja
Valitse vielä kerran sopiva, niin löydät sinulle sopivat sisällöt.-
Ajankohtaista
-
Rakennusvalvonta, tontit ja asuntoasiat
-
Luonto ja ympäristö
-
Kaavoitus
-
Liikenne, kadut ja viheralueet
-
Paikkatieto
-
-
-
-
Yritys tai yrittäjä
Valitse vielä kerran sopiva, niin löydät sinulle sopivat sisällöt.-
Tietoa aloittavalle yrittäjälle
Aloittava yrittäjä
Mahtavaa. Tutustu yritys tai yrittäjä -sisältöihin Kangasala.fi:ssä tai Business Kangasala -verkkopalvelussa. -
Tietoa toimivalle yrittäjälle
Toimiva yrittäjä
Mahtavaa. Tutustu yritys tai yrittäjä -sisältöihin Kangasala.fi:ssä tai Business Kangasala -verkkopalvelussa. -
Lisätietoa
Yritystonttia tai toimitilaa etsivät
Mahtavaa. Tutustu yritys tai yrittäjä -sisältöihin Kangasala.fi:ssä tai Business Kangasala -verkkopalvelussa. -
Business Kangasala
Kangasalle sijoittumista suunnitteleva
Mahtavaa. Tutustu yritys tai yrittäjä -sisältöihin Kangasala.fi:ssä tai Business Kangasala -verkkopalvelussa.
-
-
Visit Kangasala
Vierailija tai matkailija
Vierailija tai matkailija: valitse vielä kerran sopiva, niin löydät sinulle sopivat sisällöt. -
Muu sidosryhmä
Eikös Kangasalla voisikin olla ihanaa? Valitse vielä kerran sopiva, niin löydät sinulle sopivat sisällöt.-
Järjestö tai yhdistys
Järjestö tai yhdistys? Klikkaa lukemaan.-
Järjestöyhteistyö
-
Tapahtumat ja tapahtumien järjestäminen
-
Harrastaminen ja vapaa-aika
-
Avustukset
-
Osallistu ja vaikuta
-
-